Dodano dnia: 2025-10-07

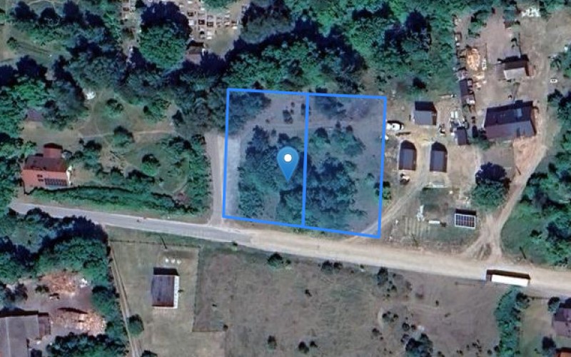
Grunt w miejscowości Dominikowo, Dominikowo (zachodniopomorskie). Działki numer: 47/3, 47/2

Dominikowo, 73-220, Dominikowo, (woj. zachodniopomorskie)

Formularz zgłaszania uwag do ogłoszenia
Powód zgłoszenia

e-licytacja
Kategoria: Działki i grunty
Rodzaj: Licytacja komornicza
1 licytacja nieruchomości
Typ licytacji: Zwykły
Data licytacji: 2025-12-10
Sygnatura: Km 2672/24
Obszar działki: 0,3049 ha
Cena wywołania: 45 975 zł
Cena oszacowania: 61 300 zł
Wadium: 6 130 zł

Księgi wieczyste

Działki ewidencyjne

Treść ogłoszenia

Komornik Sądowy

przy Sądzie Rejonowym  w Choszcznie

Piotr Woźniak

Kancelaria Komornicza, Bolesława Chrobrego 1/7,  Choszczno,   73-200 Choszczno

tel. 957173450 / fax. 

Sygnatura: Km 2672/24

 

OBWIESZCZENIE O PIERWSZEJ LICYTACJI NIERUCHOMOŚCI W DRODZE LICYTACJI ELEKTRONICZNEJ

 

Komornik Sądowy przy Sądzie Rejonowym w Choszcznie Piotr Woźniak Kancelaria Komornicza nr III w Choszcznie podaje do publicznej wiadomości, że w sprawie Km 2672/24 rozpocznie się w trybie ustalonym w art. 9864 § 4 ustawy z dnia 17 listopada 1964 r. Kodeks postępowania cywilnego (dalej: kpc) pierwsza licytacja w trybie elektronicznym następujących nieruchomości: 



- nieruchomości położonej przy  Dominkowo dz. gr. /47/2 i 3,Dominikowo,  73-220 Drawno, dla której Sąd Rejonowy w Choszcznie V Wydział Ksiąg Wieczystych  (adres: ul.  Wolności 14, Choszczno, 73-200 Choszczno)   prowadzi księgę wieczystą o numerze SZ1C/xxxxxxxx/9.

Opis nieruchomości:
Przedmiotem licytacji jest nieruchomość niezabudowana o powierzchni łącznej 3049 m2, składająca się z działek gruntowych nr 47/2 oraz 47/3. Dla nieruchomości w Sądzie Rejonowym w Choszcznie V Wydziale Ksiąg Wieczystych prowadzona jest kw o numerze SZ1C/xxxxxxxx/9. Zagospodarowanie nieruchomości jest zgodne z polityką przestrzenną gminy Drawno. Uchwała XI/53/24 z dnia 2024-12-23 r. w sprawie: miejscowego planu zagospodarowania przestrzennego dla obrębu Dominikowo oraz fragmentu obrębu Chomętowo, gmina Drawno – część A. Oznaczone symbolem 4ZN - tereny zieleni naturalnej. Działki posiadają bezpośredni dostęp do drogi publicznej stanowiącej własność Gminy Drawno, oznaczonej dziaką nr 308. Działka gruntu niezabudowana nr 47/2, porośnięta roślinnością niską oraz wysoką (samosieje) położona w Dominikowie (powiat choszczeński, Gmina Drawno, Obręb ewidencyjny: 0010 Dominikowo). Działka posiada powierzchnię 1 517m2 (0,1517 ha) na którą składają się z grunty o symbolu użytku: B o powierzchni 20 m2 (0,0020 ha), Br-RVI o powierzchni 657 m2 (0,0657 ha),RVI o powierzchni 840 m2 (0,840 ha), Kształt działki: regularny, w ogólnym zarysie przypominający prostokąt. Dojazd do nieruchomości: drogą częściowo utwardzoną asfaltem oraz częściowo nieutwardzoną. Teren działki: zasadniczo płaski. Działka uzbrojona jest w następujące urządzenia infrastruktury technicznej (w tym z dala czynna): instalacja wodociągowa,instalacja gazowa, instalacja teletechniczna,instalacja elektroenergetyczna. Działka gruntu niezabudowana nr 47/3, porośnięta roślinnością niską oraz wysoką (samosieje) położona w Dominikowie (powiat choszczeński, Gmina Drawno, Obręb ewidencyjny: 0010 Dominikowo). Działka posiada powierzchnię 1 532 m2 (0,1532 ha). na którą składają sie grunty o symbolu użytku:Br-RVI o powierzchni 632 m2 (0,0632 ha), RVI o powierzchni 900 m2 (0,900 ha), Kształt działki: regularny, w ogólnym zarysie przypominający prostokąt. Dojazd do nieruchomości: drogą częściowo utwardzoną asfaltem oraz częściowo nieutwardzoną. Teren działki: zasadniczo płaski. Działka uzbrojona jest w następujące urządzenia infrastruktury technicznej (w tym z dala czynna):instalacja wodociągowa, instalacja gazowa, instalacja teletechniczna, instalacja elektroenergetyczna.

 

Suma oszacowania wynosi 61 300,00 zł, zaś cena wywołania jest równa 3/4 sumy oszacowania i wynosi 45 975,00 zł.  

 

W ciągu dwóch tygodni przed licytacją wolno oglądać wyżej wymienioną nieruchomość w dni powszednie od godz. 12:00 do godz. 13:00. W systemie teleinformatycznym udostępnia się natomiast protokół opisu i oszacowania.

 

Licytant przystępujący do przetargu powinien złożyć rękojmię w wysokości jednej dziesiątej sumy oszacowania, to jest kwotę 6 130,00 zł.

Rękojmię należy złożyć na rachunek bankowy komornika 96 1600 1462 1828 2222 2000 0001 najpóźniej na 2 dni robocze przed rozpoczęciem przetargu. 

 

Przetarg odbywa się w trybie sprzedaży nieruchomości w drodze licytacji elektronicznej i rozpocznie się w dniu: 10.12.2025 o godzinie: 13.00  a zakończy się w dniu 17.12.2025 o godzinie: 13.00.  Na podstawie art. 986§ 31 kpc, jeżeli w ciągu 5 minut przed planowanym terminem zakończenia przetargu zgłoszono postąpienie, termin ten ulega odroczeniu o 5 minut. Jeżeli w dodatkowym czasie zgłoszono dalsze postąpienie, termin zakończenia przetargu podlega każdorazowo odroczeniu o kolejne 5 minut, aż do momentu gdy ustaną postąpienia.

 

Sprzedaż dokonywana jest w drodze licytacji elektronicznej. Uczestnictwo w przetargu wymaga założenia konta w systemie teleinformatycznym obsługującym licytacje elektroniczne dostępnym pod adresem https://elicytacje.komornik.pl/  oraz przystąpienia do przetargu na dwa dni robocze przed jego rozpoczęciem. Licytant składa rękojmię najpóźniej na 2 dni robocze przed rozpoczęciem przetargu, a jeżeli bierze udział w licytacji jako pełnomocnik innej osoby, to przedkłada dodatkowo swoje umocowanie. Udział jednego licytanta wystarcza do odbycia przetargu. 

Na podstawie art.  9864 §  2 kpc warunkiem udziału w przetargu jest utworzenie indywidualnego konta w systemie teleinformatycznym. 

 

Prawa osób trzecich nie będą przeszkodą do przeprowadzenia licytacji i przybicia na rzecz nabywcy bez zastrzeżeń, jeżeli osoby te przed rozpoczęciem przetargu nie złożą dowodu, że wniosły powództwo o zwolnienie przedmiotów od egzekucji i uzyskały w tym zakresie orzeczenie wstrzymujące egzekucję.


Użytkowanie, służebności i prawa dożywotnika, jeżeli nie są ujawnione w księdze wieczystej lub przez złożenie dokumentu do zbioru dokumentów i nie zostaną zgłoszone najpóźniej na trzy dni przed rozpoczęciem licytacji, nie będą uwzględnione w dalszym toku egzekucji i wygasną z chwilą uprawomocnienia się postanowienia o przysądzeniu własności. 


Zgodnie z art.  976 kpc, w przetargu nie mogą uczestniczyć: dłużnik, komornik, ich małżonkowie, dzieci, rodzice i rodzeństwo oraz osoby obecne na licytacji w charakterze urzędowym, licytant, który nie wykonał warunków poprzedniej licytacji, osoby, które mogą nabyć nieruchomość tylko za zezwoleniem organu państwowego, a zezwolenia tego nie przedstawiły.




Komornik Sądowy

Piotr Woźniak

 

Ogłoszenia nieruchomości w pobliżu

Mieszkanie w miejscowości Wałcz, Wojska Polskiego 58/34 (zachodniopomorskie)

Wojska Polskiego 58/34, 78-600, Wałcz, (woj. zachodniopomorskie)

Rodzaj: Licytacja komornicza
Kategoria: Mieszkania
Data licytacji: 2025-12-18
e-licytacja
Cena wywołania: 148 650 zł
Cena oszacowania: 198 200 zł

Mieszkanie w miejscowości Koszalin, Podgórna 30/79 (zachodniopomorskie)

Podgórna 30/79, 75-336, Koszalin, (woj. zachodniopomorskie)

Rodzaj: Licytacja komornicza
Kategoria: Mieszkania
Data licytacji: 2026-01-13
Cena wywołania: 220 500 zł
Cena oszacowania: 294 000 zł

Dom w miejscowości Piaseczno, Piaseczno 105 (zachodniopomorskie). Działka numer: 335

Piaseczno 105, 74-110, Piaseczno, (woj. zachodniopomorskie)

Rodzaj: Licytacja komornicza
Kategoria: Domy
Data licytacji: 2025-11-28
Cena wywołania: 254 533 zł
Cena oszacowania: 381 800 zł