Dodano dnia: 2024-02-12
UWAGA!!! Przeglądasz zarchiwizowane ogłoszenie

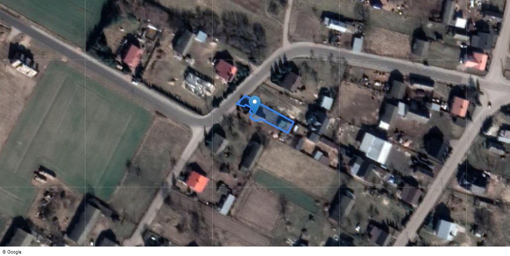
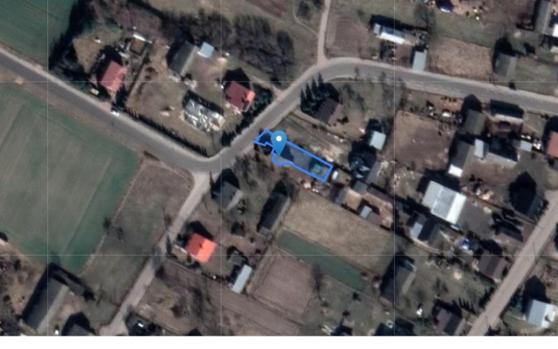
Dom w miejscowości Głużek, Głużek 84 (mazowieckie). Działka numer: 575/1

Głużek 84, 06-521, Głużek, (woj. mazowieckie)

Formularz zgłaszania uwag do ogłoszenia
Powód zgłoszenia

Kategoria: Domy
Rodzaj: Licytacja komornicza
1 licytacja nieruchomości
Typ licytacji: Zwykły
Data licytacji: 2024-02-28
Sygnatura: Km 1029/18
Obszar działki: 0,0368 ha
Cena wywołania: 26 550 zł
Cena oszacowania: 35 400 zł
Wadium: 3 540 zł

Księgi wieczyste

Działki ewidencyjne

Treść ogłoszenia

Komornik Sądowy

przy Sądzie Rejonowym  w Mławie

Jerzy Berdyga

Kancelaria Komornicza, Długa 9A,  Mława,   06-500 Mława

tel. 23 655 34 57 / fax. 23 655 34 57

Sygnatura: Km 1029/18



OBWIESZCZENIE O PIERWSZEJ LICYTACJI NIERUCHOMOŚCI

 

Komornik Sądowy przy Sądzie Rejonowym w Mławie na podstawie art. 953 ustawy z dnia 17 listopada 1964 r. Kodeks postępowania cywilnego (dalej: kpc) podaje do publicznej wiadomości, że w sprawie Km 1029/18 w dniu 28-02-2024 o godz. 09:15 w budynku Sądu Rejonowego w Mławie z siedzibą przy Reymonta 3, 06-500 Mława, sala 2 B, odbędzie się pierwsza licytacja:

 

- ułamkowej części nieruchomości, której   właścicielem jest ********* położonej przy  84,Głużek,  06-521 Wiśniewo, dla której Sąd Rejonowy w Mławie Wydział IV Ksiąg Wieczystych  (adres: ul.  ul.Reymonta 3, Mława, 06-500 Mława)   prowadzi księgę wieczystą o numerze PL1M/xxxxxxxx/0.
Opis nieruchomości:
udział 5/8 niewydzielonej części nieruchomości działka nr ewidencyjny 575/1, Obręb: 0003 Głużek, Jednostka ewidencyjna: 141310_2 Wiśniewo, Powiat mławski o pow. 0,0368 ha zabudowana parterowym budynkiem mieszkalnym w zabudowie bliźniaczej o powierzchni zabudowy 40,00 m2 powierzchnia użytkowa 26,53 m2 oraz budynkiem gospodarczym. Na działce zlokalizowane są także ruiny budynku gospodarczego murowango. Nieruchomość uzbrojona w wodę z wodociągu, energię elektryczną, odprowadzenie ściekóww do szamba. Dojazd do działki drogą asfaltową

Suma oszacowania wynosi 35 400,00 zł, zaś cena wywołania jest równa 3/4 sumy oszacowania i wynosi 26 550,00 . Licytant przystępujący do przetargu powinien złożyć rękojmię w wysokości jednej dziesiątej sumy oszacowania, to jest kwotę 3 540,00 zł.


W ciągu dwóch tygodni przed licytacją wolno oglądać wyżej wymienioną nieruchomość w dni powszednie od godz. 10:00 do godz. 15:00. Protokół opisu i oszacowania można przeglądać w siedzibie Sądu Rejonowego w Mławie ul. Reymonta3, 06-500  Mława. 

Zgodnie z art. 962 kpc licytant przystępujący do przetargu powinien złożyć rękojmię najpóźniej w dniu poprzedzającym przetarg.  

Rękojmię należy złożyć na konto komornika: PKO BP SA O/CIECHANÓW 15 1020 1592 0000 2102 0054 3538.

Za datę złożenia rękojmi przyjmuje się dzień uznania rachunku bankowego komornika. 

Rękojmia może być również złożona w książeczce oszczędnościowej zaopatrzonej w upoważnienie właściciela książeczki do wypłaty całego wkładu stosownie do prawomocnego postanowienia sądu o utracie rękojmi.

Stawienie się jednego licytanta wystarcza do odbycia przetargu.

Prawa osób trzecich nie będą przeszkodą do licytacji i przysądzenia własności na rzecz nabywcy bez zastrzeżeń, jeżeli osoby te przed rozpoczęciem przetargu nie złożą dowodu, iż wniosły powództwo o zwolnienie nieruchomości lub przedmiotów razem z nią zajętych od egzekucji i uzyskały w tym zakresie orzeczenie wstrzymujące egzekucję.

 

Użytkowanie, służebności i prawa dożywotnika, jeżeli nie są ujawnione w księdze wieczystej lub przez złożenie dokumentu do zbioru dokumentów i nie zostaną zgłoszone najpóźniej na trzy dni przed rozpoczęciem licytacji, nie będą uwzględnione w dalszym toku egzekucji i wygasną z chwilą uprawomocnienia się postanowienia o przysądzeniu własności.

 

Zgodnie z przepisem art. 976 § 1 kpc w przetargu w przetargu nie mogą uczestniczyć: dłużnik, komornik, ich małżonkowie, dzieci, rodzice i rodzeństwo oraz osoby obecne na licytacji w charakterze urzędowym, licytant, który nie wykonał warunków poprzedniej licytacji, osoby, które mogą nabyć nieruchomość tylko za zezwoleniem organu państwowego, a zezwolenia tego nie przedstawiły.



Komornik Sądowy

Jerzy Berdyga

 

Ogłoszenia nieruchomości w pobliżu

Dom w miejscowości Lesznowola, Wilcza (mazowieckie). Działki numer: 294/38, 294/36

Wilcza, 05-506, Lesznowola, (woj. mazowieckie)

Rodzaj: Licytacja komornicza
Kategoria: Domy
Data licytacji: 2026-02-05
e-licytacja
Cena wywołania: 69 507 zł
Cena oszacowania: 92 676 zł

Nieruchomość komercyjna w miejscowości Nowy Dwór Mazowiecki, Przejazd 7/U1B (mazowieckie)

Przejazd 7/U1B, 05-100, Nowy Dwór Mazowiecki, (woj. mazowieckie)

Rodzaj: Licytacja komornicza
Kategoria: Nieruchomości komercyjne
Data licytacji: 2026-01-20
Cena wywołania: 530 867 zł
Cena oszacowania: 707 823 zł

Mieszkanie w miejscowości Nowy Dwór Mazowiecki, Bohaterów Modlina 22/56 (mazowieckie)

Bohaterów Modlina 22/56, 05-100, Nowy Dwór Mazowiecki, (woj. mazowieckie)

Rodzaj: Licytacja komornicza
Kategoria: Mieszkania
Data licytacji: 2026-01-20
Cena wywołania: 276 053 zł
Cena oszacowania: 368 071 zł